Dulkadiroğlu ilçesi YAHYA KEMAL mahallesi muhtarının talebi üzerine araziye gidilerek evlere ve sokaklara ait levhaların kontrolü yapılarak eksiklikler tespit edilmiştir. Arazide sokak levha montajı tamamlanarak kapı numarası eksik olan 1200 adet taşınmazda montaj işlemi gerçekleşmiştir.
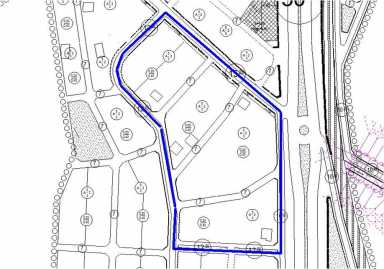
Türkoğlu İlçesi, Şekeroba Mahallesinde, İlçe Belediyesinin 05.04.2016 tarih ve 51410302-310-04-924 sayılı yazısı gereği gönderilen imar uygulaması incelendi. 22.04.2016 tahinde Encümen üyelerince proje onayı yapıldı. Dosya imzaları tamamlandı askı için İlçe Belediyesine gönderildi.
Yukarıda yer alan bilgiler sadece bilgilendirme amaçlıdır. Sitede yayınlanan bilgilerin güncelliği, doğruluğu ve tamlığı konusunda azami özen gösterilmekle birlikte, Kahramanmaraş Büyükşehir Belediyesi bu konuda hiçbir taahhüt ve sorumluluk kabul etmez.
Yukarıda yer alan bilgiler sadece bilgilendirme amaçlıdır. Sitede yayınlanan bilgilerin güncelliği, doğruluğu ve tamlığı konusunda azami özen gösterilmekle birlikte, Kahramanmaraş Büyükşehir Belediyesi bu konuda hiçbir taahhüt ve sorumluluk kabul etmez.